케언즈가볼만한곳 / 케언즈자유여행에 맑고 푸른 바다와 하야 모래사장으로 유명한 피츠로이섬 즐기기
케언즈를 여행하며 보트, 스노클링 등의 해양 액티비티를 즐길수 있는 케언즈 출발 피츠로이섬 해양 액티비티 투어는 케언즈에서 피초로이섬까지 크루즈를 타고 50분간 이동해야 합니다.
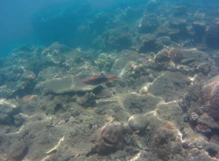
희귀한 산호초로 둘러싸인 아름다운 섬인 피초로이섬에서 스노클링을 즐기며 직접 물속에 들어가 보고, 만지고, 느낄 수 있으며, 배 바닥이 유리로 되어 있는 글래스 보트에 올라타 바닷속을 관찰할 수 도 있습니다.
케언즈 시내 미팅장소 부터 피츠로이섬까지 왕복 교통편으로 이동 걱정없이 여행을 즐길 수 있는 피츠로이섬 해양 액티비티 투어는 온라인으로 예약가능하며 미리 예약하시면 할인된 금액에 이용하실 수 있습니다.
#케언즈여행 #케언즈액티비티 #케언즈스노클링
#케언즈인기투어 #호주케언즈여행
#케언즈가볼만한곳 #케언즈 #케언즈자유여행
#피츠로이섬가는방법 #케언즈인기관광지

피츠로이섬은 오스트레일리아 퀸즐랜드 주에 위치한 숨겨진 보석 같은 섬이에요. 이곳은 자연의 아름다움이 가득한 곳으로, 방문하는 모든 이들에게 특별한 경험을 선사합니다. 섬에 발을 디디는 순간, 맑고 푸른 바다와 하얀 모래사장이 펼쳐지는 풍경에 감탄하게 되죠. 이곳의 해변은 마치 천국에서 온 듯한 느낌을 줍니다.
특히 피츠로이섬의 바다는 스노클링과 다이빙을 즐기기에 최적의 장소예요. 여러 종류의 산호초가 형형색색으로 펼쳐져 있고, 그 사이를 자유롭게 유영하는 다양한 해양 생물들이 정말 장관이에요. 열대어들이 수영하는 모습을 가까이에서 볼 수 있는 경험은 말로 표현할 수 없을 만큼 환상적입니다. 물속에서의 시간이 정말 빠르게 지나가고, 자연과 하나가 되는 기분을 느낄 수 있어요.
섬의 내륙으로 들어가면, 울창한 열대우림이 펼쳐져 있습니다. 이곳은 다양한 식물과 동물들로 가득 차 있어, 자연 탐험을 좋아하는 사람들에게는 천국과도 같은 곳이에요. 여러 가지 트레일이 잘 마련되어 있어서, 걷는 동안 다양한 조류와 식물을 관찰할 수 있습니다. 특히, 희귀한 동식물을 발견하는 재미는 여행의 묘미 중 하나죠. 숲속에서 들리는 새소리와 바람 소리는 정말 힐링이 됩니다.
또한, 피츠로이섬에서는 다양한 액티비티를 즐길 수 있습니다. 카약이나 패들보드를 타고 바다를 탐험하는 것도 좋고, 하이킹을 통해 섬을 깊이 있게 느껴보는 것도 추천해요. 해안선을 따라 걷다 보면, 아름다운 경치와 함께 평화로운 시간을 보낼 수 있습니다. 운동을 즐기는 분들에게는 완벽한 선택이죠.
그리고 섬에 있는 리조트는 편안한 휴식을 제공합니다. 바다를 바라보며 여유롭게 책을 읽거나, 일광욕을 하며 시간을 보내는 것도 정말 좋습니다. 저녁에는 섬의 일몰을 감상하는 것도 잊지 마세요. 하늘이 붉게 물들어가는 순간, 자연이 주는 아름다움에 감동하게 될 거예요.
피츠로이섬은 자연과 모험, 휴식이 완벽하게 어우러진 곳입니다. 바쁜 일상에서 벗어나 진정한 힐링을 원하신다면, 이곳을 꼭 방문해보세요. 잊지 못할 추억과 함께, 마음의 평화를 찾을 수 있을 거예요.
#케언즈인기여행지
#케언즈관광 #케언즈즐길거리 #케언즈가볼만한곳추천
#케언즈해양액티비티 #케언즈해양스포츠
#케언즈섬여행










캐언즈를 여행하며 스노클링, 해양 스포츠를 즐기며, 아름다운섬에서 즐기는 물놀이를 원하시는 분들께 추천하는 케언즈 출발 피츠로이섬 해양 액티비티 투어입니다.
시내 - 섬간 왕복교통편이 제공되어 편리하게 이동하며 온전히 피츠로이섬을 즐길 수 있는 일일투어로 케언즈 리프 플릿 터미널에서 미팅을 가진 후 페리에 올라타 바로 피츠로이 섬으로 이동합니다.
오션 트램플린, 패들보드, 스노클링 등 스릴 넘치는 워터 액티비티를잔뜩 즐길 수 있는 이곳! 피츠로이 섬에서 일상의 스트레스를 풀어 보세요. ~ 스노클링 장비는 언제든 대여할 수 있습니다. 워터 액티비티 뿐 아니라 글래스 보텀 보트를 타고 편안히 몸을 젖히고 앉아 아름다운 산호초와 에메랄드빛 바다를 바라볼 수 있습니다.
케언즈를 여행하며 아름다운 섬 피츠로이섬을 여행하며, 스노클링도 즐기고 즐거운 하루 !! 케언즈의 추억을 남길 수 있는 피츠로이섬 해양 액티비티 일일투어입니다.









전일 투어 일정:
08:30출발
피츠로이 아일랜드 국립공원
피츠로이섬에서 자유시간을 즐겨보세요
15:45피츠로이 아일랜드 국립공원
보트 탑승 시작 및 피츠로이 아일랜드 출발
16:45복귀
스노클 대여 + 유리 바닥 보트 옵션 패키지 포함사항
케언즈와 피츠로이 섬 간 50분 크루즈 이동
피츠로이 섬 탐험 6시간
스노클 대여
유리 바닥 보트 투어
불포함사항
식사 및 음료
기타 개인 경비




케언즈출발 피츠로이섬 해양 액티비티 일일투어는 클룩사이트에서 쉽게 예약하실 수 있으며, 이메일, 전화번호, 카카오톡, 네이버, 구글, 애플, 페이스복 등으로 간편하게 회원가입하고 이용하실 수 있습니다. 가격은 변동될 수 있으므로 예약시 다시 확인하고 이용하세요~
케언즈출발 피츠로이섬 해양 액티비티 일일투어
클룩사이트에서 자세히 보기
https://gotripgo.tistory.com/355
해외여행 // 핸드폰로밍 대신 추천하는 데이터로밍 와이파이도시락
믿고 쓰는 해외여행 인터넷 와이파이도시락 해외여행시 데이터 사용은 필수 입니다. 해외여행시 현지유심칩을 구매하여 인터넷을 사용하수도 있고, 한국에서 핸드폰을 로밍해서 사용할 수 도
gotripgo.tistory.com
https://gotripgo.tistory.com/234
해외여행시 여행자보험 가입해야 하나요 ??
해외여행시 패키지여행의 경우 여행자보험이 패키지에 포함되어 있는 경우가 많아 별로도 여행자보험을 신경쓰지 않는 경우가 많은데요 ~~ 점점 해외자유여행을 많이가는 분들이 늘어남에 따
gotripgo.tistory.com
https://gotripgo.tistory.com/1729
여행용 호신용 경보기/ 여성, 어린이, 노약자 등 우리가족 안전을 위한 비상상황, 위험한 상황에
에코너 호신용 전자 경보기에 대해 알아보는 것은 개인의 안전을 지키기 위한 중요한 조치 중 하나입니다. 호신용 전자 경보기는 위험한 상황이나 비상 상황에서 사용자가 주변 사람들에게 신
gotripgo.tistory.com
https://gotripgo.tistory.com/2177
케언즈 스노클링 추천 / 호주 케언즈여행의 꼭 가봐야하는 놀라운 생태계의 산호초 그레이트 베
호주 케언즈여행에 추천하는 인기여행지 그레이트 배리어 리프는 특별한 자연 현상으로, 그 규모와 생물 다양성으로 인해 전 세계의 사람들을 끌어들이는 곳입니다. 이곳은 호
gotripgo.tistory.com
https://gotripgo.tistory.com/2126
케언즈호텔 / 케언즈여행의 중심가의 다니기 편한 위치와 쾌적하고 현대적인 호텔 크리스탈브
케언즈호텔 크리스탈브룩 라일리 (Crystalbrook Riley)는 케언즈 공항에서 차로 단 10분 거리에 있습니다(Uber 또는 택시 요금은 AUD16-20), 야시장/DFS/슈퍼마켓/하버사이드 레스토랑까지 도
gotripgo.tistory.com
https://gotripgo.tistory.com/1348
케언즈가볼만한곳 / 호주 케언즈여행의 다양한 야생동물들과 13미터 스릴넘치는 로프액티비티가
호주 케언즈여행의 가볼만한곳으로 추천하는 케언즈 줌 & 와일드라이프 돔(Cairns ZOOM & Wildlife Dome)은 오스트레일리아 퀸즐랜드 주에 위치한 인기 있는 관광 명소입니다. 이 곳은 다양한 액티비티
gotripgo.tistory.com
https://gotripgo.tistory.com/955
오스트레일리아여행// 브리즈번에서 골드코스트 이동하는 방법(골드코스트 공항 또는 서퍼스 파
오스트레일리아여행에 브리즈번(Brisban)에서 골드코스트(Sunshine Coast)로 이동하는 버스는 온라인으로 예약하실 수 있으며, 시간은 1시간에서 2시간정도로 시간 및 타는곳에 따라 약간씩 차이가 있
gotripgo.tistory.com
'호주 여행 > 케언즈' 카테고리의 다른 글
| 케언즈인기호텔 / 케언즈자유여행에 아름다운 전망과 여행하기 좋은 위치의 숙소 케언즈 샹그릴라 호텔, 더 마리나 (0) | 2025.10.03 |
|---|---|
| 케언즈관광 / 케언즈에서 30분거리의 있는 호주에서 가장 유명한 자연공원 레인포레스테이션 자연공원 즐기기 (0) | 2025.03.08 |
| 포트더글라스호텔 / 호주 포트더글라스의 위치좋고 쾌적한 시설의 성인전용텔 산타라 리조트 포트 더글라스 (0) | 2024.09.02 |
| 케언즈 스노클링 추천 / 호주 케언즈여행의 꼭 가봐야하는 놀라운 생태계의 산호초 그레이트 베리어 리프 관광 및 스노클링 (0) | 2024.06.16 |
| 케언즈호텔 / 케언즈여행의 중심가의 다니기 편한 위치와 쾌적하고 현대적인 호텔 크리스탈브룩 라일리 (0) | 2024.06.10 |



댓글